Caribe Mexicana Oceanfront lots #1 & #2
- $469,000.00/EACH
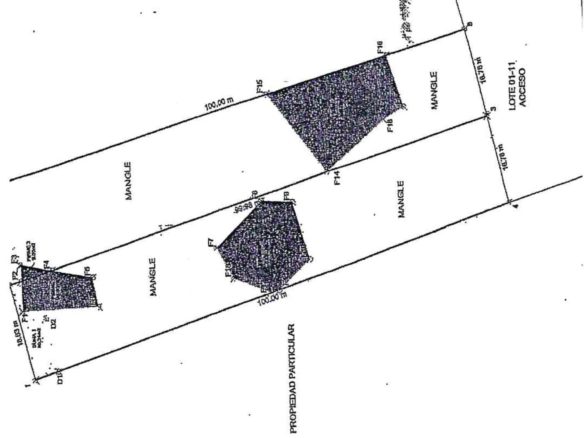
Description
Two 18.75 m (63 ft.) oceanfront x 100 m (336 ft.) deep to the road. This lot is close to an electric transformer to bring in electric to the lots only 70 meters away. The water substation is close by but less expensive to build storage tanks and have water trucked in. Lot #1 has a 285 m2 pad to build on about 40 m back from the front of the lot and another 90 m2 in front to build a pool and cabana.
Lot 2 has a small piece in the front and toward the back of the lot is another pad to build a residential property on.
This area allows for 15 level construction.
One of the few inexpensive oceanfront lots remaining on the island.
Details
Updated on December 1, 2025 at 11:34 pm-
Price $469,000.00/EACH
-
Property Size 1770.35 M2
-
Property Type Oceanfront lot, Land
-
Property Status For Sale
Address
-
City: Cozumel
-
State/county: Quintana Roo
-
Area: North Coast
-
Country: México
Similar Listings
Lot Mora (corner lot)
Corner 25th Av. between 90 Av. Sur and 90 Av. Sur Bis, ProVivienda Neighborhood, Flamingos Area, Cozumel DetailsContact Information
View Listings- Cozumel Living








